4일 오전 대구 북구 호국로(동변로) 교통혼잡개선 사업 구간. 우회전 차로와 직진 차로가 구분돼 있지 않아 병목현상이 잦은 구역이다. 박영민 기자.
대구 북구 호국로(동변교 일원) 개선사업 계획안. 대구시 제공.
보행데크가 설치될 녹지 구간. 박영민 기자.
대구지역 주요 간선도로들의 교통혼잡이 완화될 전망이다. 대구시가 내년까지 상습교통혼잡 구간 3개소의 교통편의 개선을 위해 우회 도로 설치를 위한 도로 확장에 나서기 때문이다. 다만, 도로 사업 과정에서 보행로 축소가 불가피해 시민들의 보행권 침해를 최소화할 수 있는 구체적인 대책 마련도 함께 요구된다.
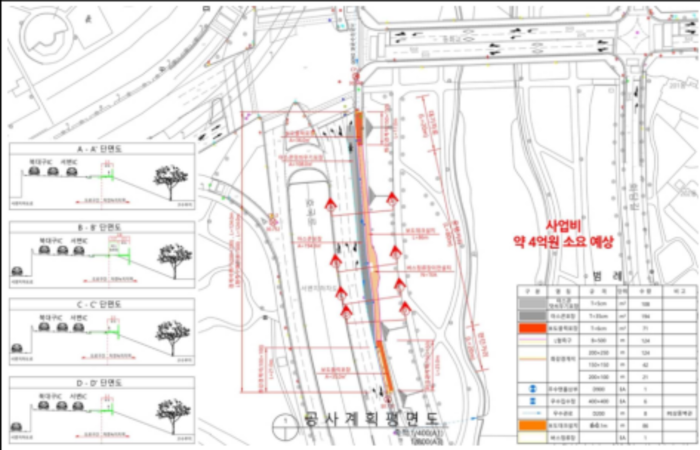
7일 영남일보 취재결과, 대구시는 '주요 간선도로 상습교통혼잡구간 개선사업'의 일환으로 동구 반야월로(율하교~율하역), 북구 호국로(동변교 일원), 수성구 무열로~고모로 삼거리 등 3개소를 대상으로 도로 공사에 착수한다. 총 사업비는 8억4천만원이다. 준공 일정은 구간별로 다르다. 이달 및 10월 중 착공되는 무열로~고모로 삼거리 구간은 올 연말 준공이 목표다. 반야월로와 호국로의 경우, 늦어도 내년 초쯤 착공할 예정이고, 준공 시점은 내년 하반기다.
이 사업의 핵심은 우회전·좌회전 전용차로 등을 설치해 교통 혼잡을 완화하는 것이다.
안심뉴타운 등 주거단지와 맞닿아 있어 주민 불편이 컸던 반야월로 구간엔 우회전 전용차로가 새로 조성된다. 대구시는 우회 차로 확보로 이곳의 차량 대기행렬이 170m→105m로 약 38% 줄고, 지체시간도 116.6초→76.5초로 34% 감소할 것으로 추산했다.
출퇴근 시간대 교통 혼잡이 극심한 '호국로'에도 우회전 전용차로가 설치된다. 호국로는 평소 직진과 우회전 차로가 구분되지 않은 탓에 버스가 정차할 때 우회전 차량이 묶이는 병목현상이 잦은 곳이다. 사업 완료 시, 지체시간은 48초→5.2초로 89% 줄고, 대기행렬도 280m→210m로 단축될 것으로 분석됐다.
도심으로 이동하는 차량 통행량이 많았던 무열로~고모로 삼거리 구간은 중앙녹지대가 제거되고, 90m 길이의 좌회전 전용차로가 들어선다. 대기행렬은 600m→300m로 절반으로 줄고, 지체시간도 390초→ 180초로 54% 단축될 것으로 예상된다.
다만, 이번 도로 확장 사업을 통해 일부 보행로가 축소된다는 점은 숙제다. 자칫, 보행권 침해로 시민불편과 위험이 가중될 수 있어서다. 현재 사업은 무열로 구간을 제외한 반야월로과 호국로 2곳의 보행로를 축소해 각각 폭 2m가량에 길이 50m·120m의 보행데크를 새로 설치하는 방식으로 구상된 상태다.
이를 두고 김중진 대구안실련 대표는 "차량 통행 위주의 정책 시도에 앞서 시민들의 보행권을 보장하는 행정적 접근 또한 동반돼야 한다"며 "도로 개선 사업 취지는 이해하지만, 차량보다 사람이 우선이라는 '보행 안전' 원칙은 반드시 지켜져야 한다"고 했다.
이에 대해 대구시는 "사업 구상 단계에서도 이 같은 상황을 다소 의식해 최적의 방안이 무엇인지 고심했다. 우선, 공사기간 동안 보행데크를 먼저 설치해 보행 동선을 확보한 뒤, 차로 공사를 진행할 예정"이라며 "사전 조사 당시, 시민 보행권에 문제가 없는 공사 가능 구간을 중심으로 사업을 설계해 보행 불편이 크지 않을 것으로 보이지만, 행여 보행권 문제가 불거질 경우 후속 조치를 강구하겠다"고 했다.
박영민
영남일보(www.yeongnam.com), 무단전재 및 수집, 재배포금지
![[영상] 월정교 위 수놓은 한복의 향연··· 신라 왕복부터 AI 한복까지](https://www.yeongnam.com/mnt/file_m/202510/news-m.v1.20251031.6f8bf5a4fea9457483eb7a759d3496d2_P1.jpg)





